Marathi
|
Hindi
Download App
Epaper
Home
City
Latest News
Cricket
LT Premium
National
International
Maharashtra
Opinions
Chhatrapati Sambhajinagar
Nagpur
Entertainment
Photos
Business
Technology
Sports
Lifestyle
Social Viral
Lokmat Games
Health
City
Home
Latest
National
International
Cricket
Maharashtra
Entertainment
LT Premium
Web Stories
Chhatrapati Sambhajinagar
Trending Topics :
BMC Election 2026
Mumbai Air Pollution
Maharashtra Local Body Elections
Stock Market News
Maharashtra News
Mumbai Local
All
News
Photos
Videos
Jefferson County Public Health
FOLLOW
Jefferson county public health, Latest News
International :
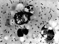
Squirrel in Colorado tests positive for bubonic plague
In the first case of plague in the United States this year following the deadly coronavirus outbreak, a squirrel in Colorado has tested positive for the bubonic plague, a rare but serious bacterial infection that's transmitted by fleas. ...